宠物博物馆 首页 宠物新闻 宠物头条 查看内容

养柯基必看!5个你不知道的健康隐患,最后一个很多人都忽略了! ...

2025-11-17 20:05| 发布者: 狗的猫宁| 查看: 13| 评论: 0|原作者: 老男孩的柯基

摘要: 髋关节发育不良是许多中大型犬常见的问题,而柯基由于身体结构特殊,也容易被这一疾病“盯上”。该病主要是髋关节在生长发育过程中出现异常,导致关节磨损、疼痛,柯基会出现走路跛行、后腿无力、不爱运动等症状。预 ...

髋关节发育不良是许多中大型犬常见的问题,而柯基由于身体结构特殊,也容易被这一疾病“盯上”。该病主要是髋关节在生长发育过程中出现异常,导致关节磨损、疼痛,柯基会出现走路跛行、后腿无力、不爱运动等症状。

预防建议:选择营养均衡的狗粮,避免过度补钙;在幼犬时期,避免让柯基进行剧烈运动;定期带柯基去宠物医院进行髋关节检查,做到早发现早治疗。

三、眼部疾病:明亮眼睛背后的危机

柯基的眼睛大而明亮,但这也让它们容易受到眼部疾病的困扰,常见的有白内障、青光眼、干眼症等。如果发现柯基频繁抓挠眼睛、眼睛发红、分泌物增多,或是出现视力下降的情况,就要警惕眼部疾病的发生。

预防建议:每天用干净的棉球或湿巾擦拭柯基的眼睛,保持眼部清洁;避免让柯基长时间暴露在强光下;定期带柯基进行眼部检查,及时发现和处理潜在问题。

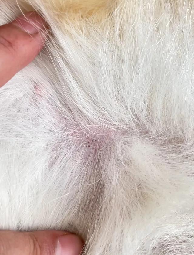
四、皮肤问题:毛发下的“隐形战场”

柯基毛发浓密,这使得它们的皮肤容易滋生细菌、真菌和寄生虫,引发皮肤瘙痒、红肿、脱毛等问题。此外,柯基还可能对食物、花粉、尘螨等过敏,导致皮肤过敏反应。

预防建议:定期给柯基洗澡,但不要过于频繁,以免破坏皮肤的天然油脂保护层;保持居住环境清洁,定期为柯基驱虫;如果发现柯基有皮肤问题,及时就医,确定病因并进行针对性治疗。

五、口腔疾病:被忽视的“疼痛根源”

很多主人会忽略柯基的口腔健康,实际上,口腔疾病是老年犬常见的健康问题之一,而柯基也不例外。牙菌斑、牙结石的堆积,会导致口臭、牙龈炎、牙周炎等疾病,严重时甚至会影响柯基的食欲和身体健康。

预防建议:从小培养柯基刷牙的习惯,选择宠物专用的牙膏和牙刷;定期给柯基提供磨牙玩具或零食,帮助清洁牙齿;每年带柯基进行一次专业的口腔检查和清洁。

柯基就像一个需要精心呵护的小天使,虽然它们存在这些健康隐患,但只要主人多了解、多上心,用科学的养护方法陪伴它们,就能让这些可爱的小家伙远离病痛,快乐健康地度过每一天!快把这些知识分享给身边养柯基的朋友吧,让更多毛孩子被温柔以待~


路过

雷人

握手

鲜花

鸡蛋

QQ- sitemap- 宠物博物馆

Copyright © 2019-2025 宠物博物馆  杭州狗的猫宁电子商务有限公司 版权所有
中国互联网举报中心 杭州互联网违法和不良信息举报平台 网络110报警服务 浙ICP备19035174号-11 | 浙公网安备 33010402003971号